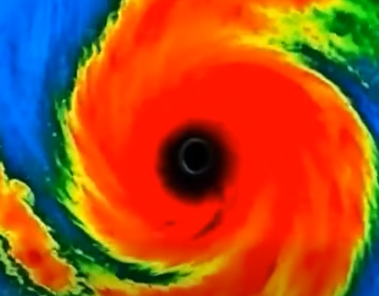
BREAKING NEWS Large HURRICANE CATEGORY forming… See more

They know the water will come first. Not as a gentle rise, but as a wall—fifteen feet of churning, debris-filled surge tearing through streets that were quiet yesterday. In the dim light of early morning, taillights stretch in long red lines away from the coast, while those who cannot leave brace behind plywood and sandbags, hoping their preparations are enough.

Inside crowded shelters, people clutch phones, watching radar swirls tighten and darken, each update a fresh blow. Power outages are no longer a possibility but a certainty. Parents speak calmly for their children’s sake, then trade silent, fearful looks when small eyes turn away. Yet there is resolve here too: neighbors sharing food, strangers offering rides, volunteers checking every last door. As Beryl closes in, the difference between tragedy and survival narrows to a few final decisions—and the courage to act before it’s too late.

Related Posts

Russia warns it will bring about the ‘end of the world’ if Trump…See more

A dramatic warning from Russia has intensified global anxiety after former President Donald Trump renewed rhetoric about U.S. control over Greenland, prompting sharp reactions from NATO allies…

She Helped a Man in Need for Years — Then the United States National Guard Appeared at Her Wedding

A Weekly Act of Kindness Led to an Unexpected Moment on a Wedding Day A Simple Routine in the Park Every Thursday afternoon at 4:30 p.m., Amelia…

The Haunting Story Behind the “Lansdowne Baby”: One of the Most Disturbing Postmortem Photographs Ever Taken

In 1894, photographer Stephen Horne Appleton captured a haunting and deeply unsettling image that would later become known as the “Lansdowne Baby.” The photograph was taken in…

Every Day, an 8-Year-Old Boy Carried a Heavy Backpack — Until His Mother Discovered the Hidden Wall of Cans He Built to Protect He…

In a modest neighborhood on the outskirts of Pittsburgh, Pennsylvania, the fall of 2025 arrived quietly. Leaves gathered in sidewalks and alleyways, swirling around aging brick buildings…

Police find elderly man who had been missing for 7 months; he was burie… See more

Authorities have confirmed a tragic end to a seven-month search for an elderly man who had mysteriously disappeared from his home. The man was initially reported missing…

Dramatic Moment in a Field: Man Intervenes to Save Piglet from Wolf

A dramatic scene captured on video and circulating on social media shows a man stepping in to save a small piglet from a wolf attack. In the…

Leave a Reply

Your email address will not be published. Required fields are marked *